Obracíme se na všechny milovníky zvířat s prosbou o pomoc při záchraně
a léčbě tří poraněných zvířat bez domova. Moc prosíme všechny, kteří mohou
finančně pomoci na konto Nadace na pomoc zvířatům, abychom mohli zaplatit
operace a léčby našich svěřenců, kteří jsou odkázáni na nás.
Nadace bohužel funguje jen ze sponzorských darů a nemá prostředky na to, aby
mohla pokrýt náklady za operace a celou léčbu. Ale i přesto se snažíme těmto
nebohým zvířatům pomoci a zachránit jim život. Však už jen název napovídá
tomu, že se snažíme zvířatům pomoci, aniž bychom museli použít z důvodu
finanční tísně tu nejjednodušší a nejlevnější cestu-utracení. Nechceme těmto
zraněným zvířatům brát životy, když jejich svízelné situace můžeme řešit.
Jedná se o dvouletého kocourka Fida, tříměsíční kočičku Sisi a
osmiletou fenku jezevčíka Bobinku.
FIDO
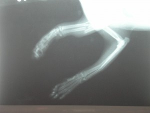
Fido byl nalezen zraněný a nepohyblivý u cesty, nejspíše poražen autem.
Utrpěl
frakturu pánve ( kyčelní kosti), luxaci kyčelního kloubu, zdevastování
kloubního
pouzdra a měkké tkáně a zhmoždění močového měchýře a také tržné rány na ocase.
4.4. 2006 se Fido podrobil dvojoperaci, při které byla provedena osteosyntéza
pánve a reponování kyčelního kloubu a jeho fixace.

Z důvodu zdevastování měkké tkáně na ocase je bohužel narušeno prokrvování a
ocásek se ještě bude muset amputovat. První těžkou operaci zvládl Fido velmi
dobře, citlivost v obou končetinách je a již se pokouší o pohyb. Má dobré
předpoklady k úspěšnému vyléčení. Dobře baští, rád se mazlí a bojuje.

SISI
Sisi byla nalezena 29.03.2006 na sídlišti s polámanými předními
packami. Utrpěla
fraktury obou předních končetin, z nichž jedna byla tříštivá fraktura loketní
a vřetenní kosti, došlo také ke zdevastování měkké tkáně.


Dne 30.03.2006 se Sisi podrobila operaci, při které byla provedena osteosyntéza, kdy se tato těžká zlomenina fixovala šrouby. Druhou frakturu
fixuje termoplastická dlaha. Sisi se po této těžké operaci velice dobře
zotavila, hned začala baštit a cítila se
dobře, takže naštěstí nebylo nutné kočičku zatěžovat infuzí.


Bohužel, v průběhu rekonvalescence začaly komplikace. V operované pacince
nebylo obnoveno krvení a začalo docházet k otoku a odumírání. Proto jsme
museli přikročit k amputaci celé končetiny, která se provedla dne 04.04.2006.

Sisi se s narkózou opět velmi dobře vyrovnala a hned druhý den po operaci
začala velmi dobře baštit, také měla náladu se mazlit a chová se, jako by si
ze svého „nového hendikepu“ nic nedělala. Sisinka je neuvěřitelně statečná a
silná a v žádném případě se
nepoddává svému zranění. Má velikou chuť do života a kdybychom pomýšleli na
utracení, jistě bychom si to dlouho vyčítali, že jsme takovéto kočičce, plné
energie a chutí žít, tuto možnost vzali.

BOBINKA
Bobinka k nám přišla 03.04. ještě se svým páníčkem, který ji přišel utratit.
Hlavním důvodem pro utracení byly zdravotní i finanční problémy majitele a tím
silnější byl důvod, že Bobinka měla silný zánět dělohy, do té doby neléčený,
již delší dobu ani nežrala a zdravotní problémy byly patrné.

Majitel přišel, až byl zánět hodně rozšířen a fenečce šlo o život. Při
konzultaci s panem doktorem se dohodli na tom, že se fenky vzdá a my ji dáme
šanci na život, budeme operovat a po doléčení fenečce najdeme nový domov. Tak
se Bobinka podruhé narodila a zároveň přišla o páníčka. Myslíme, že jsme
udělali správně, protože Bobinka chce žít a jistě najde zodpovědnějšího
páníčka, který ji nenechá na holičkách a bude mít před sebou ještě polovinu
plnohodnotného života. Ještě týž den byla pyometra operována a přitom se
vyoperovala celá děloha. Bobinka zvládla operaci dobře a nyní je v léčení.
Momentálně její léčba spočívá v podávání infuzí, jelikož
Bobinka nežere a také podávání podpůrných léků a antibiotik.

Konto Nadace-bankovní účet: 94-4366360287/0100
Pokud můžete jakkoli pomoci, upřímně Vás žádáme o jakoukoli peněžitou částku.
Budeme moc vděčni za podporu a tudíž i spolupráci na záchraně těchto tří
zvířátek. Samozřejmě Vás budeme o průběhu léčení informovat a aktualizovat
nové zprávy